2023年登陆福建的台风有几个(今年福建台风特别少吗2023)
台风是每年夏季比较常见的一种天气气象,也是危害性比较大的一个天气气象,很多人都会遭遇台风侵袭,尤其是沿海地区,比如福建、杭州等,根据最新预测显示,今年福建的台风可能偏少,大概有1-2个台风登陆福建。

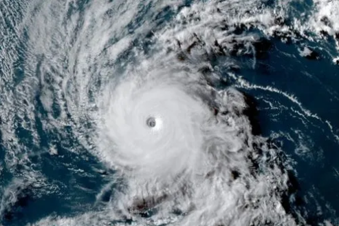
2023年福建有几个台风登陆
预计未来登陆或影响福建的台风个数为4-5个(不含3号台风),少于常年,夏季有1-2个台风登陆或严重影响福建。
福建省气象部门预测显示,2022年下半年主要气候特点为夏季高温多雨、秋冬湿凉。预计下半年平均降雨量为550-1500毫米,偏多1-4成。考虑台风可能对沿海江河产生较大影响,晋江、九龙江、交溪、木兰溪可能发生中洪水。
福建省防汛办要求,要做好防抗台风的各项准备工作,加快修复水毁防洪防潮工程设施;要继续修订完善防台风海上人员转移避险方案,努力完善防台风应急设施;要进一步加强宣传,不断增强公众防台风意识。

今年福建台风特别少吗2023
今年台风可能会偏少。
数据显示,6月至10月都可能有台风登陆福建,特别是8月最密集。1961年至2022年,共有37个台风在8月登陆福建。从强度来看,10月登陆福建的台风最强,虽然个数少但台风及以上级别占八成。从登陆点分布来看,福建东部沿海各县市几乎都曾经有台风的“光顾”。其中最“招”风的是福清和晋江,台风登陆次数均达到了15次。连江和漳浦也是台风的“常客”,登陆次数分别达到12次和10次。

台风来了怎么办
1、随时关注天气预报,注意台风的走向
台风来临时,要及时了解台风的动态,人员要及时转移到安全地带,避开容易造成伤亡的地点(危旧住房、厂房、工棚、临时建筑),不要在以上地方避风避雨。
2、降低高空坠物的可能
空调外挂悬空、高空设施要进行加固,并将露于阳台、窗外的花盆等物品移入室内。
3、固定门窗
门窗要捆紧拴牢,特别应对铝合金门窗采取防护。收起屋内外的各种悬挂;关闭门窗,必要时加钉木板。
4、准备逃生应急物品
检查线路,准备手电、蜡烛,储存饮水,以防断电停水;多准备一二日食物蔬菜,非必要时不要外出,停止各种露天集体活动和室内大型集会。
